Tu correo electrónico ha sido enviado.



Información del edificio
| Tipo de venta | Inversión o usuario propietario | Subtipo de inmueble | Comercial |
| N.º de terrenos | 1 | Tamaño total del terreno | 3,5 ha |
| Tipo de inmueble | Terreno |
| Tipo de venta | Inversión o usuario propietario |
| N.º de terrenos | 1 |
| Tipo de inmueble | Terreno |
| Subtipo de inmueble | Comercial |
| Tamaño total del terreno | 3,5 ha |
1 Terreno disponible
Terreno
| Tamaño del terreno | 3,5 ha |
| Tamaño del terreno | 3,5 ha |
Descripción
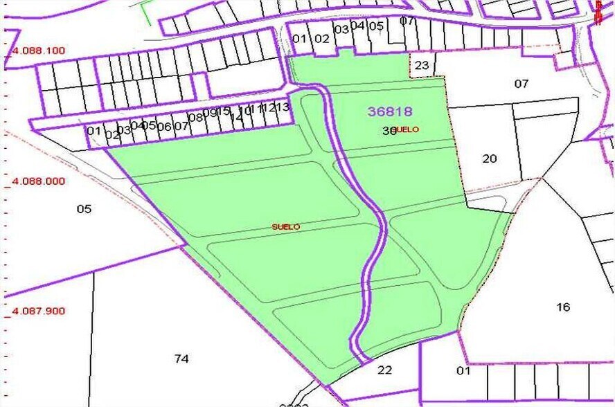
NO COBRAMOS COMISIÓN DE INTERMEDIACIÓN AL COMPRADOR ¡Gran oportunidad de inversión para tu proyecto! Ponemos a tu disposición este suelo urbanizable residencial con un gran potencial de desarrollo, ubicado en la localidad de Villanueva de la Concepción, provincia de Málaga, perfecto para promotores que deseen materializar un proyecto en una zona con proyección y un entorno natural privilegiado. - Edificabilidad de 4.567,45m² - Viviendas máximas: 30 viviendas unifamiliares adosadas. - Altura máxima: Dos plantas sobre rasante ? una planta de sótano destinada a 30 plazas de garaje y 30 trasteros. - Referencia catastral: 3681830UF6838S0001GS. Su ubicación es estratégica: se encuentra en una zona consolidada y en pleno desarrollo, rodeada de viviendas unifamiliares y plurifamiliares de reciente construcción. La excelente conexión por carretera facilita un acceso rápido a todo tipo de servicios esenciales como supermercados, colegios, centros de salud, zonas de ocio, restauración y comercios. Además, disfrutarás de la cercanía al Paraje Natural Torcal de Antequera, un enclave único para los amantes de la naturaleza, el senderismo y las actividades al aire libre. Este suelo combina potencial urbanístico y atractivo de ubicación, lo que lo convierte en una oportunidad ideal para desarrollar un proyecto residencial adaptado a la demanda actual: viviendas modernas, en un entorno tranquilo y bien comunicado, con la ventaja de estar rodeadas de un paisaje natural inigualable. Hipoges es una plataforma inmobiliaria donde podrás acceder a miles de activos inmobiliarios de diferentes tipos como viviendas, locales comerciales, terrenos, nueva obra, tanto a nivel particular como para inversores. Hipoges cuenta con una amplia cartera de activos inmuebles tanto en España como en Portugal y Grecia.
Elaborado por
Sup, 3
Parece que se ha producido un error al enviar tu mensaje. Vuelve a intentarlo.
Gracias. Se ha enviado tu mensaje.

