Iniciar sesión/Registrarse
Tu correo electrónico ha sido enviado.

Parte de la información se ha traducido automáticamente.
Aspectos destacados
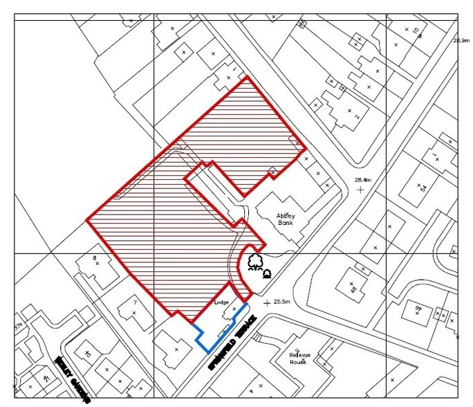
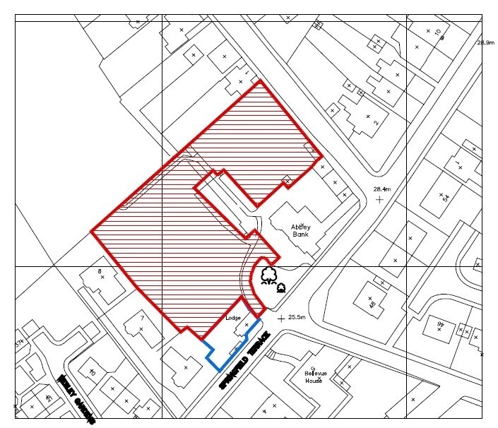
- Comprise former Garden Ground for the Abbey Bank House.
- Surrounding properties comprise a mix of residential dwellings.
- Detailed planning consent - 9 units.
- Site extends to 1.2 acres.
- Established residential location.
- Available in part or whole.
Resumen ejecutivo
Los temas están disponibles para la venta con ofertas de más de 400.000 libras esterlinas.
Información del edificio
| Precio | 458.678 € | Tipo de inmueble | Terreno |
| Tipo de venta | Inversión | Subtipo de inmueble | Residencial |
| Tenencia | Plena propiedad | Tamaño total del terreno | 0,49 ha |
| N.º de terrenos | 1 |
| Precio | 458.678 € |
| Tipo de venta | Inversión |
| Tenencia | Plena propiedad |
| N.º de terrenos | 1 |
| Tipo de inmueble | Terreno |
| Subtipo de inmueble | Residencial |
| Tamaño total del terreno | 0,49 ha |
1 Terreno disponible
Terreno
| Precio | 458.678 € | Tamaño del terreno | 0,49 ha |
| Precio por ha | 944.514,08 € |
| Precio | 458.678 € |
| Precio por ha | 944.514,08 € |
| Tamaño del terreno | 0,49 ha |
El sitio se extiende a 1.2 acres o más e incluye la casa de campo abandonada, situada a la entrada de Springfield Terrace.
Descripción
El sitio comprende un terreno para el desarrollo que se extiende a 1.2 acres.
1 1
1 de 2
Vídeos
Matterport tour exterior en 3D
Matterport tour en 3D
Fotos
Street view
Calle
Mapa
1 de 1
Elaborado por
Development Site | Springfield Ter
¿Tienes cuenta con nosotros? Iniciar sesión
Parece que se ha producido un error al enviar tu mensaje. Vuelve a intentarlo.
Gracias. Se ha enviado tu mensaje.
