Tu correo electrónico ha sido enviado.

Parte de la información se ha traducido automáticamente.
Aspectos destacados
- Este espacio cuenta con muchos servicios locales
- Buenas conexiones de transporte
- Edificio bien ubicado
Espacios disponibles (1)
Mostrar el precio como
- Espacio
- Tamaño
- Duración
- Precio
- Tipo
| Espacio | Tamaño | Duración | Precio | Tipo de alquiler | ||
| Planta baja | 200 m² | Negociable | Bajo solicitud Bajo solicitud Bajo solicitud Bajo solicitud | Reparación y seguros completos |
Planta baja
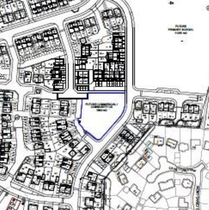
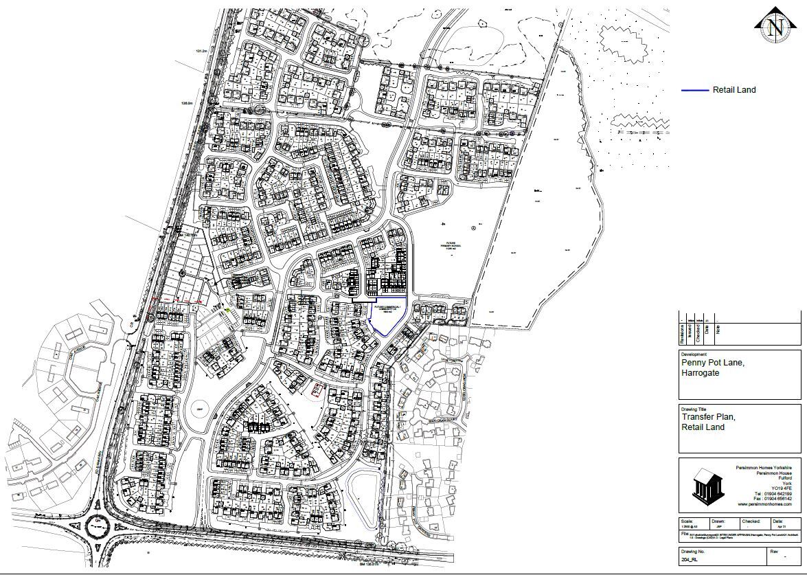
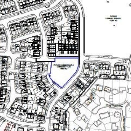
Under Development. The property is to be arranged over the ground floor only providing 2,153 sf ft of accommodation. The subject premises will be positioned in close proximity t the school land and provide an exciting retail opportunity to compliment the surrounding area. Larger proposals to be considered subject to planning.
- Clase de uso: E
- Situado en una ubicación privilegiada
Gastos de comunidad
La cuota del alquiler y los gastos de comunidad que el inquilino (arrendatario) es responsable de pagar al propietario (arrendador) a lo largo del plazo del alquiler se negocian antes de que ambas partes firmen el contrato de alquiler. Los gastos de comunidad variarán en función de los servicios ofrecidos. Contactar con el agente del anuncio para conocer mejor los costes asociados a cada tipo de servicios o sus gastos adicionales.
1. Reparación y seguros completos: Todas las obligaciones de reparación y seguros del inmueble (o su parte del inmueble), ya sean interna o externamente.
2. Solo reparación interna: El inquilino solo es responsable de las reparaciones internas. El propietario es responsable de las reparaciones estructurales y externas.
3. Reparación y seguros internos: El inquilino solo es responsable de las reparaciones internas y del seguro de las partes internas del inmueble. El propietario es responsable de las reparaciones estructurales y externas.
4. Negociable o por det.: Se usa cuando el contacto de alquiler no establece los gastos de comunidad
Información del edificio
| Espacio total disponible | 200 m² | Año de construcción | 2025 |
| Tipo de inmueble | Local | Estado de construcción | Suelo urbano |
| Superficie bruta alquilable | 200 m² |
| Espacio total disponible | 200 m² |
| Tipo de inmueble | Local |
| Superficie bruta alquilable | 200 m² |
| Año de construcción | 2025 |
| Estado de construcción | Suelo urbano |
Descripción del inmueble
Las instalaciones de la asignatura se ubicarán muy cerca del terreno de la escuela y brindarán una excelente oportunidad de venta minorista para complementar el área circundante. El camping está justo al lado de las autopistas A59 y A61 y queda aproximadamente a 22 millas al norte del centro de Leeds y 35 millas al oeste del centro de York. El desarrollo constará de 600 nuevas viviendas, así como un terreno reservado para una nueva escuela primaria.
Elaborado por
Penny Pot Ln
Parece que se ha producido un error al enviar tu mensaje. Vuelve a intentarlo.
Gracias. Se ha enviado tu mensaje.



