Introduce tu e-mail para iniciar sesión o crear una cuenta gratuita
En estos momentos esta característica no está disponible.
Lamentablemente, la característica a la que estás intentando acceder no está disponible en estos momentos. Estamos al tanto del problema y nuestro equipo está trabajando intensamente para resolverlo.
Vuelve a intentarlo dentro de unos minutos. Disculpa las molestias.
- El equipo de LoopNet
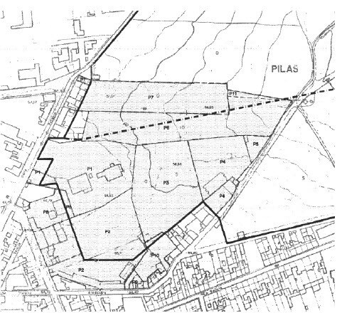
Paso Particular R, 1A
Pilas, Sevilla 41840
Terreno En venta
·
0,02 ha

Información del edificio
| Tipo de inmueble | Terreno | Tamaño total del terreno | 0,02 ha |
| Subtipo de inmueble | Comercial |
| Tipo de inmueble | Terreno |
| Subtipo de inmueble | Comercial |
| Tamaño total del terreno | 0,02 ha |
Descripción
NO COBRAMOS COMISIÓN DE INTERMEDIACIÓN AL COMPRADOR Gran oportunidad de adquirir este suelo ubicado en la localidad de Pilas (Sevilla). - Evacuación de las aguas residuales: por red general. - Abastecimiento de aguas: por red general. - Suministro eléctrico: por red general. - Vías de acceso: pavimentadas. - Referencia catastral: 9525037QB3392N0001AY Muy bien comunicado por carretera como la autovía A-49, que proporciona acceso a la costa suroeste de España, incluyendo las playas de Huelva y carreteras interurbanas que conectan con otras ciudades importantes de la región. Ubicado en un entorno privilegiado, el Parque Natural de Doñana. Lugar de paso entre las encrucijadas de Huelva y Sevilla. En la actualidad, el olivar y sus derivados siguen siendo la principal base de la economía debido a la comercialización principalmente de aceite y aceitunas de mesa. Debido al carácter emprendedor del municipio destaca por la implantación de una numerosa y prestigiosa industria textil y tapicera, que se convierte en un sustento básico para la economía junto a los sectores del mueble, la mecánica, la chapa y la pintura, entre otros. Dispone de todos los servicios públicos o privados necesarios como pequeño comercio de proximidad, farmacias, centros educativos, supermercados, sucursales bancarias y gran oferta en restauración. Por lo tanto la promoción a desarrollar disfrutará de un entorno tranquilo y natural, pero sin renunciar a todos los servicios, equipamientos y atractivos necesarios para una gran calidad de vida. Sus accesos, comunicaciones y transportes harán que tengas todo a tu alcance. Hipoges es una plataforma inmobiliaria donde podrás acceder a miles de activos inmobiliarios de diferentes tipos como viviendas, locales comerciales, terrenos, nueva obra, tanto a nivel particular como para inversores. Hipoges cuenta con una amplia cartera de activos inmuebles tanto en España como en Portugal y Grecia.
ID del anuncio: 38642215
Fecha de salida al mercado: 03/12/2025
Última actualización:
Dirección: Paso Particular R, 1A, Pilas, Sevilla 41840
Terreno en Paso Particular R, 1A, Pilas, Sevilla 41840 ya no se anuncia en LoopNet.es. Contacta con el agente para obtener información de disponibilidad.
TERRENO INMUEBLES EN BARRIOS CERCANOS
