Tu correo electrónico ha sido enviado.



TERRENO Disponibilidad
Mostrar el precio como
| Precio de alquiler |
|
Tamaño del terreno | 1,47 ha |
| Plazo del alquiler | Negociable |
| Precio de alquiler | |
| Plazo del alquiler | Negociable |
| Tamaño del terreno | 1,47 ha |
Descripción general del inmueble
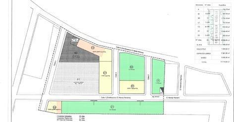
Según la última información disponible, la. parcela se encuentra incluida en las Normas. Subsidiarias de Osuna, con adaptación. parcial a la LOUA aprobada definitivamente el. 06/11/2009. Respecto a la gestión. urbanística, se desarrolla mediante iniciativa. privada por compensación. Se permite construir dos plantas sobre. rasante, o 7,50 m de altura... Dentro de la finca valorada existen 1.000 m2. de suelo urbano industrial. Dicha parcela es. atravesada por un vial de nueva formación. dando como resultado dos subparcelas de. 367,50 m2 y 302,00 m2. Según edificabilidad. se pueden construir 602,55 m² de uso. industrial
Información del edificio
| Espacio total disponible | 1,47 ha | Subtipo de inmueble | Comercial |
| Tipo de inmueble | Terreno |
| Espacio total disponible | 1,47 ha |
| Tipo de inmueble | Terreno |
| Subtipo de inmueble | Comercial |
Elaborado por
"Osuna, Sevilla 41640"
Parece que se ha producido un error al enviar tu mensaje. Vuelve a intentarlo.
Gracias. Se ha enviado tu mensaje.
