Iniciar sesión/Registrarse
Tu correo electrónico ha sido enviado.


Parte de la información se ha traducido automáticamente.
ASPECTOS DESTACADOS
- For Sale By Online Auction - Terms & Conditions apply
- Ideal self-build potential
- Great location
- Land site for sale
- Hands free investment prospect
RESUMEN EJECUTIVO
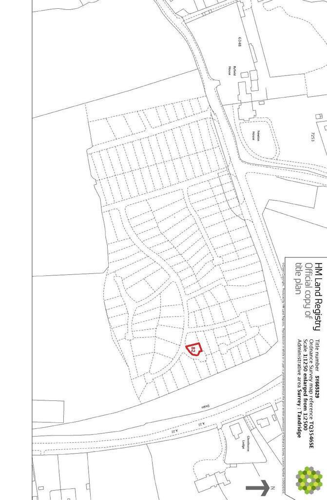
Pleased to offer to auction Plot 82 Eastbourne Road approximate sizing 120 sqm (1300 sqft).
INFORMACIÓN DEL EDIFICIO
| Precio | 39.863 € | N.º de terrenos | 1 |
| Tipo de venta | Inversión | Tipo de inmueble | Terreno |
| Condición de venta | Venta de subasta | Subtipo de inmueble | Residencial |
| Tenencia | Plena propiedad | Tamaño total del terreno | 0,01 ha |
| Precio | 39.863 € |
| Tipo de venta | Inversión |
| Condición de venta | Venta de subasta |
| Tenencia | Plena propiedad |
| N.º de terrenos | 1 |
| Tipo de inmueble | Terreno |
| Subtipo de inmueble | Residencial |
| Tamaño total del terreno | 0,01 ha |
1 TERRENO DISPONIBLE
Terreno
| Precio | 39.863 € | Tamaño del terreno | 0,01 ha |
| Precio por ha | 3.300.642,66 € |
| Precio | 39.863 € |
| Precio por ha | 3.300.642,66 € |
| Tamaño del terreno | 0,01 ha |
The property is subject to an overage provision and obligations in relation to development of the land.
1 1
1 de 3
VÍDEOS
MATTERPORT TOUR EXTERIOR EN 3D
MATTERPORT TOUR EN 3D
FOTOS
STREET VIEW
CALLE
MAPA
1 de 1
Elaborado por
Eastbourne Rd
¿Tienes cuenta con nosotros? Iniciar sesión
Parece que se ha producido un error al enviar tu mensaje. Vuelve a intentarlo.
Gracias. Se ha enviado tu mensaje.
