Iniciar sesión/Registrarse
Tu correo electrónico ha sido enviado.



Aspectos destacados
- Ubicado con la fachada a la calle, lo que facilita el acceso a la propiedad en coche, entre otros.
- Cercanía a la autopista B-20 y buena conexión con el transporte público.
Resumen ejecutivo
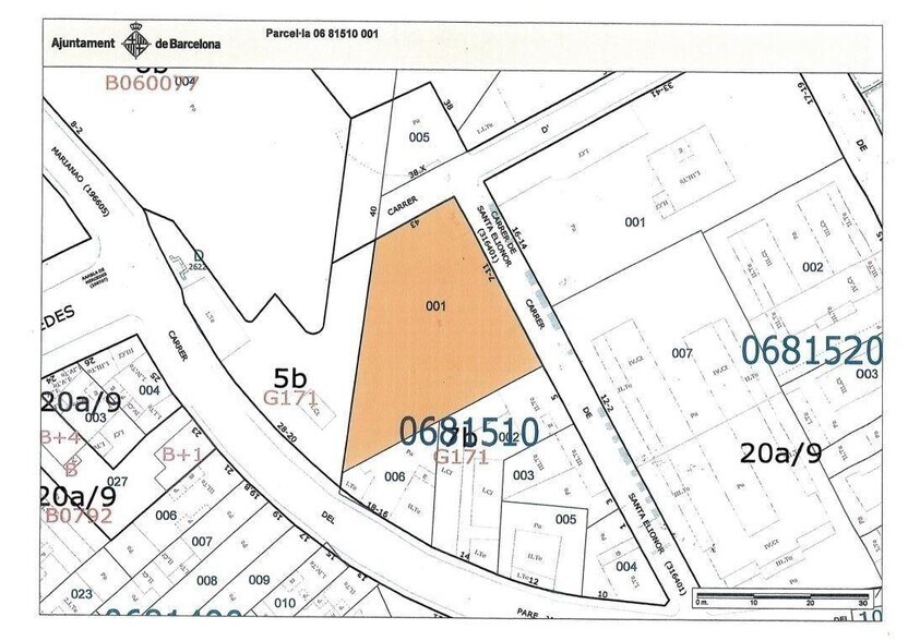
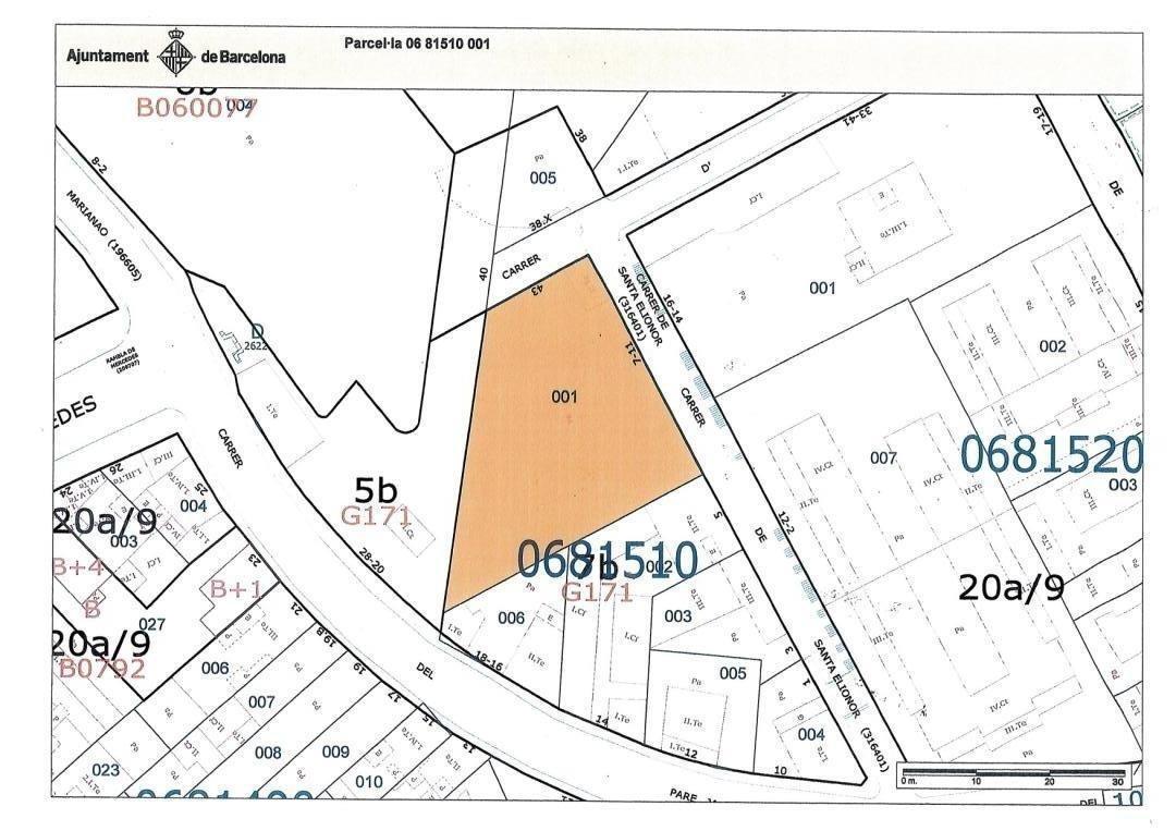
Gran oportunidad para adquirir un solar de 1.000 m² ubicado en Barcelona, clasificado urbanísticamente bajo la clave 7b. Esta calificación corresponde a suelo destinado a equipamientos, lo que significa que no está permitido el uso residencial ni la edificación de viviendas. Es una excelente oportunidad para desarrollar proyectos vinculados a servicios públicos o privados de carácter educativo, sanitario, deportivo o cultural, conforme a la normativa vigente.
Información del edificio
| Precio | 450.000 € | Tipo de inmueble | Terreno |
| Tipo de venta | Inversión | Subtipo de inmueble | Comercial |
| N.º de terrenos | 1 | Tamaño total del terreno | 0,1 ha |
| Precio | 450.000 € |
| Tipo de venta | Inversión |
| N.º de terrenos | 1 |
| Tipo de inmueble | Terreno |
| Subtipo de inmueble | Comercial |
| Tamaño total del terreno | 0,1 ha |
1 Terreno disponible
Terreno
| Precio | 450.000 € | Tamaño del terreno | 0,1 ha |
| Precio por ha | 4.499.970,53 € |
| Precio | 450.000 € |
| Precio por ha | 4.499.970,53 € |
| Tamaño del terreno | 0,1 ha |
Solar de 1.000 m² ubicado en Barcelona.
Descripción
Terreno de 1.000 m² con un inmueble comercial de 52 m², ubicado en Barcelona.
1 1
1 de 7
Vídeos
Matterport tour exterior en 3D
Matterport tour en 3D
Fotos
Street view
Calle
Mapa
1 de 1
Elaborado por
Carrer de Santa Elionor
¿Tienes cuenta con nosotros? Iniciar sesión
Parece que se ha producido un error al enviar tu mensaje. Vuelve a intentarlo.
Gracias. Se ha enviado tu mensaje.
