Tu correo electrónico ha sido enviado.

Información del edificio
| Precio | 72.000 € | Tipo de inmueble | Terreno |
| Tipo de venta | Inversión o usuario propietario | Subtipo de inmueble | Comercial |
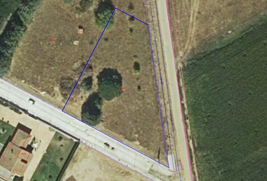
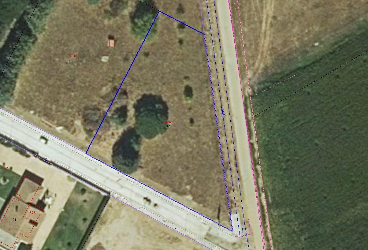
| N.º de terrenos | 1 | Tamaño total del terreno | 0,24 ha |
| Precio | 72.000 € |
| Tipo de venta | Inversión o usuario propietario |
| N.º de terrenos | 1 |
| Tipo de inmueble | Terreno |
| Subtipo de inmueble | Comercial |
| Tamaño total del terreno | 0,24 ha |
1 Terreno disponible
Terreno
| Precio | 72.000 € | Tamaño del terreno | 0,24 ha |
| Precio por ha | 304.697,95 € |
| Precio | 72.000 € |
| Precio por ha | 304.697,95 € |
| Tamaño del terreno | 0,24 ha |
Descripción
Urbis te ofrece una parcela en venta en zona Naharros del Río, Pelabravo, Salamanca... Descubre esta parcela excepcional en la zona de Naharros del Río, una oportunidad única para construir la casa de tus sueños en un entorno natural y tranquilo. Está situada en una urbanización consolidada y calificada como urbana, viviendo 40 familias permanentemente. La urbanización dispone de diferentes servicios, como piscina, tenis, baloncesto y fútbol... Tiene varias posibilidades, se puede construir un chalet de 400 m2 o dos de 200 m2, pareados o individuales... Con una generosa superficie de 2363 m2, esta propiedad ofrece un lienzo en blanco para tu imaginación arquitectónica. ¿Listo para dar vida a tus ideas y crear el hogar perfecto?... No lo dudes, aquí tienes el terreno de tus sueños... Comparte con nosotros tus sueños y nuestro PERSONAL SHOPPER inmobiliario los hará realidad. Financiación a medida, hasta el 100%... ¿Quieres visitarlo? o necesitas más información, llama al y pásate al rosa... Por deseo de algunos propietarios, tenemos inmuebles en esta misma zona que solo están anunciados en nuestra web. Para verlos entre en... Este anuncio no es vinculante y puede contener errores; se muestra a título informativo y no contractual. Gracias por su tiempo...
Elaborado por
Calle B, 2
Parece que se ha producido un error al enviar tu mensaje. Vuelve a intentarlo.
Gracias. Se ha enviado tu mensaje.
