Iniciar sesión/Registrarse
Tu correo electrónico ha sido enviado.



Parte de la información se ha traducido automáticamente.
ASPECTOS DESTACADOS
- Freehold Retail Opportunity in Prime Pitch Next to The Bridges Shopping Centre
- ERV believed to be in the region of £60,000 pa (£8 psf)
- Prime retailing pitch next to the main entrance of The Bridges Shopping Centre
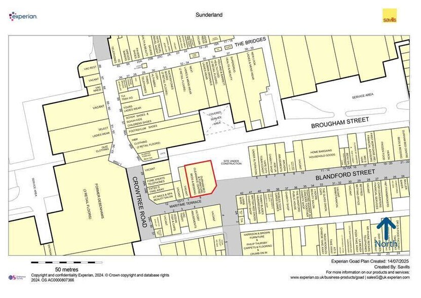
- 200 metres from Sunderland Train Station
- Let at a nil rent
- Comprises approximately 694.88 sq m (7,479 sq ft)
- Let to Sunderland Furniture Clearance Centre Limited at a nil rent
- Asset management opportunity to increase rent
- Low capital value per square foot (£12 psf)
RESUMEN EJECUTIVO
The property comprises a freehold two storey building arranged as a ground floor shop with ancillary upper parts.
INFORMACIÓN DEL EDIFICIO Bajo contrato
Tipo de venta
Inversión o usuario propietario
Tipo de inmueble
Local
Tenencia
Plena propiedad
Subtipo de inmueble
Local a pie de calle
Tamaño del edificio
695 m²
Año de construcción
1965
Precio
102.961 €
Precio por m²
148,18 €
Porcentaje alquilado
100 %
Alquiler
Varios inquilinos
Altura del edificio
2 plantas
Coeficiente de edificabilidad del edificio
0,32
Tamaño del terreno
0,22 ha
Fachada
20 m en Maritime Ter
CARACTERÍSTICAS DEL EDIFICIO
- Persianas automáticas
INQUILINOS PRINCIPALES
- INQUILINO
- SECTOR
- m² Ocupado
- PRECIO DE ALQUILER/m²
- FIN DEL ALQUILER
- Durham Bed & Furniture Centre
- -
- 695 m²
- -
- -
| INQUILINO | SECTOR | m² Ocupado | PRECIO DE ALQUILER/m² | FIN DEL ALQUILER | ||
| Durham Bed & Furniture Centre | - | 695 m² | - | - |
1 1
LOCALES CERCANOS
1 de 4
VÍDEOS
MATTERPORT TOUR EXTERIOR EN 3D
MATTERPORT TOUR EN 3D
FOTOS
STREET VIEW
CALLE
MAPA
1 de 1
Elaborado por
8 Maritime Ter
¿Tienes cuenta con nosotros? Iniciar sesión
Parece que se ha producido un error al enviar tu mensaje. Vuelve a intentarlo.
Gracias. Se ha enviado tu mensaje.
